Heimatgemeinde
Bessarabien-Logo
Bessarabien­deutscher
Verein e.V.
Dobrudscha-Logo

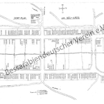
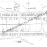
Neu-Arzis

Arcizul-Nou von 1940 bis 1995
Vysnjaki/ Wischnjaki seit 1995

Gründungsjahr

1824
Neu-Arzis
Neu-Arzis

Lokalisierung

Ukraine

Karte

Einwohner

Volkszählung 1930: 861 Deutsche / 18 Andere
Einwohner 1940: 849 Deutsche / 8 Andere

Berichte und Bücher